예약내역
|
로그인
|
회원가입
|
고객센터
실시간예약
조황정보
먹물조황
선박소개
공지사항
기상안내
1:1문의하기
조황관리
HOME /
조황관리
/ 상세정보
제목 :
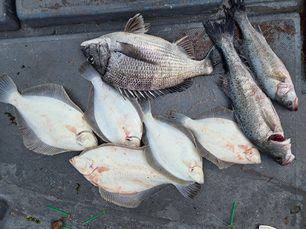
3일 목포강태공호 도다리낚시 입니다
복사
등록일 :
2026-04-03
도다리 감성돔 매일 출조합니다
*** 목포 강태공호 예약 안내 ***
예약문의 : 010-4633-7272
오시는길 : 전남 목포시 고하대로597번길 7 신일낚시
홈페이지 :
https://ktg.sunsang24.com/
이전글
다음글
조황관리목록
Top